Συναγερμός στο Μεξικό: Ο τυφώνας Erick ενισχύθηκε σε κατηγορία 3
Κινείται στον Ειρηνικό Ωκεανό🕛 χρόνος ανάγνωσης: 1 λεπτό ┋

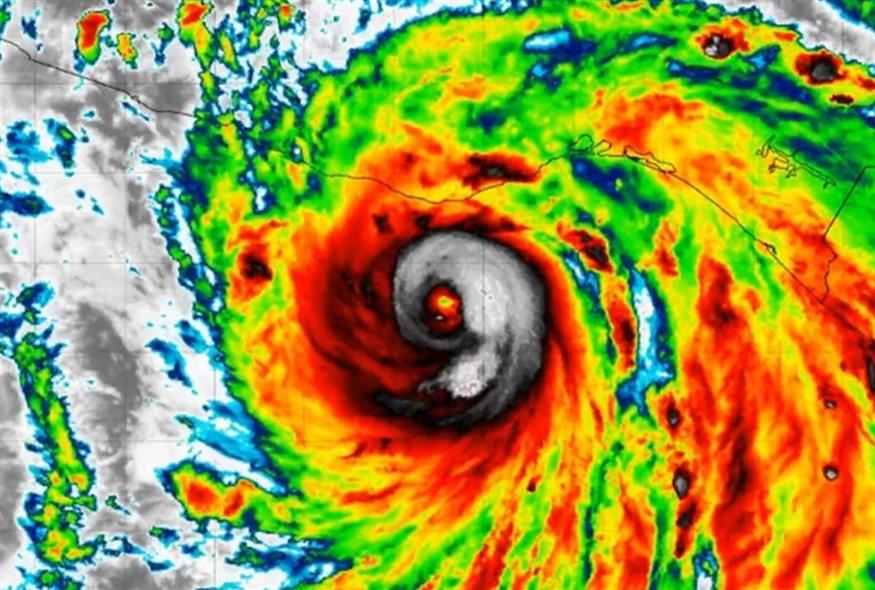
Ο τυφώνας Έρικ, που διασχίζει τον Ειρηνικό Ωκεανό, ενισχύθηκε στην κατηγορία 3 της πεντάβαθμης κλίμακας Σαφίρ-Σίμσον καθώς πλησιάζει τις ακτές του Μεξικού, προειδοποίησε το βράδυ χθες Τετάρτη (τοπική ώρα) το αμερικανικό κέντρο έγκαιρης προειδοποίησης για τυφώνες και κυκλώνες (NHC), με έδρα το Μαϊάμι.
Ο Έρικ, πλέον πολύ ισχυρός τυφώνας, συνοδεύεται από «δυνητικά καταστροφικούς ανέμους» και μπορεί να προκαλέσει «πιθανόν θανατηφόρες ξαφνικές πλημμύρες σε ορισμένους τομείς του νότιου Μεξικού». Στις 03:00 (ώρα Ελλάδας), η θέση του εντοπιζόταν περίπου 90 χιλιόμετρα από το Πουέρτο Άνχελ (νότια), σύμφωνα με το NHC.
#ERICK has been upgraded to a 105 kt (120 mph) Category 3 hurricane — it’s set to execute one of the easternmost major hurricane landfalls in EPAC history. pic.twitter.com/XZRqQwrTHP
— Michael Ferragamo (@FerragamoWx) June 18, 2025
«Φορτώνουμε τα πλοία με πυρομαχικά»: Οι απειλές του Τραμπ στο παρά πέντε των διαπραγματεύσεων και οι δύο όροι του Ιράν
Σοκαριστικός θάνατος για 12χρονο: Τον ρούφηξε φίλτρο από τζακούζι ενώ ήταν σε διακοπές με τους γονείς του
Το τελευταίο «αντίο» στον Μιρτσέα Λουτσέσκου: Με στρατιωτικές τιμές η εξόδιος ακολουθία - Συγκλόνισε ο επικήδειος του Ραζβάν
«Έμοιαζε με βρώμικο παγόβουνο»: Το μυστικό νησί στην «επικίνδυνη ζώνη» της Ανταρκτικής - Πώς ανακαλύφθηκε τυχαία
Live όλες οι εξελίξεις λεπτό προς λεπτό, με την υπογραφή του www.ethnos.gr
δημοφιλές τώρα: 



