Συμπληρώθηκε το παζλ των χωρών που προκρίθηκαν απευθείας στο Παγκόσμιο Κύπελλο - Απομένουν τα πλέι οφ
Συνετρίβη σε λίμνη σε κατοικημένη περιοχή στο Coral Springs, προάστιο του Fort Lauderdale της Φλόριντα
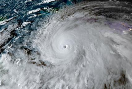
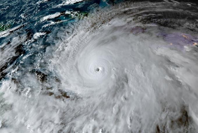
Χιλιάδες κάτοικοι στην Κούβα εγκατέλειψαν τα σπίτια τους καθώς ο ισχυρότερος τυφώνας του έτους έφτασε με ανέμους που ξεπερνούν τα 200 χιλιόμετρα την ώρα
Η Τζαμάικα κηρύχθηκε σε κατάσταση εκτάκτου ανάγκης την Τρίτη
Το τρομαχτικό φαινόμενο έπληξε το νησί της Καραϊβικής ως μια καταστροφική καταιγίδα κατηγορίας 5 - Τουλάχιστον 150.000 κάτοικοι έχουν λάβει εντολή εκκένωσης
«Δεν νομίζω ότι καμία υποδομή σε αυτήν την περιοχή μπορεί να αντέξει έναν κυκλώνα Κατηγορίας 5» προειδοποίησε ο πρωθυπουργός
Είχε πάθος για το ψάρεμα, παρά τις επίμονες αντιρρήσεις του πατέρα του, που φοβόταν ότι κάποια στιγμή θα συνέβαινε κάτι κακό
Μετά την Σέλι Αν Φρέιζερ Πράις ακόμα ένα μεγάλο όνομα στα σπριντ της Τζαμάικας αποσύρθηκε από τους Ολυμπιακούς Αγώνες 2024
Οι θεατές στο στάδιο- σίγουρα- δεν είδαν, οι τηλεθεατές είδαν σαν σκιά την Τζαμαϊκανή να αποχωρεί και όλοι, τηλεθεατές και θεατές εντός Σταντ ντε Φρανς, άκουσαν πολλά
Κατά την παραμονή του στην Τζαμάικα, ο Νίκος Δένδιας παρευρέθηκε στην τελετή αδελφοποίησης του Δήμου Σητείας της Κρήτης με το Montego Bay, της πόλης όπου υπεγράφη η Σύμβαση ΟΗΕ για το Δίκαιο Θάλασσας